
On Thursday 4 August we did some PADI Refresher courses at the Savoy Hotel in JBay. The knowledge section went quite smooth and then it was time for some "ice" diving. All the skills were refreshed and although the water was a cold 8 degrees, well done to the divers who managed not to shiver too much.
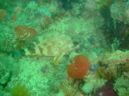
On Sunday 7 August we went looking for the so called Caves again. After having spent almost 3 hours searching we headed back to the long mile reef and dived a known site called Flat Rock Reef. Water temp was 14 deg on the bottom and viz was about 4 m. Some nice pics were taken of squirts and more
